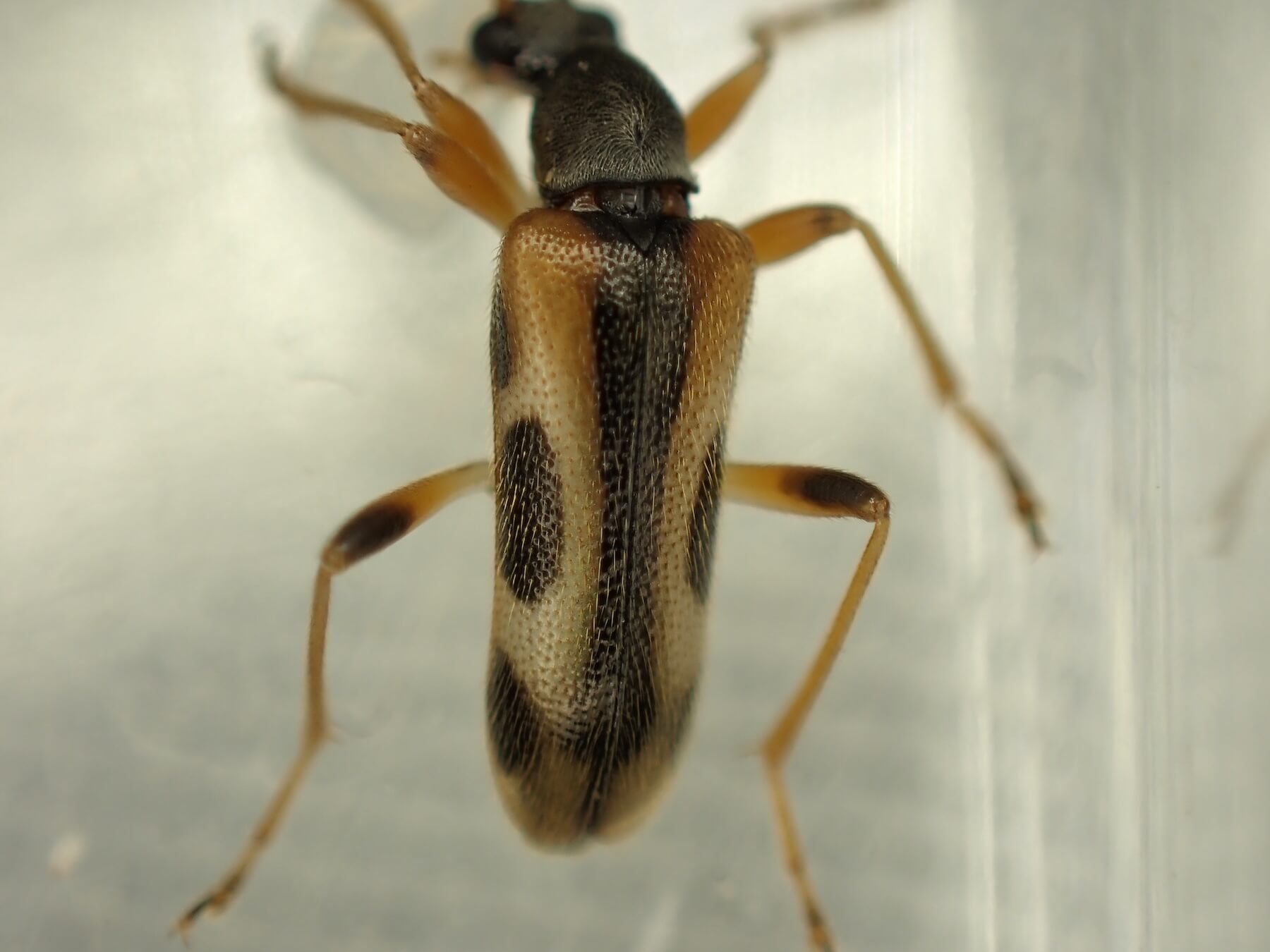
トサヒメハナカミキリ(Pidonia approximata)は、日本に生息する小型のカミキリムシ。ハナカミキリ亜科に属し、いわゆるピドニアの一種。体長は6.5~8.5mm程度。
ミワヒメハナカミキリやコトヒメハナカミキリに似ているが、綺麗に住み分けているから、見分けに苦労することはあまりない。ミワヒメハナは日本海側、トサヒメハナは太平洋側、コトヒメハナは中部地方に局地的に生息する。ちなみに、山梨県にはトサヒメハナが分布している。
生息地は落葉広葉樹林が広がる山地。本個体はカエデやガマズミの花にやってくる。本個体も、2024年5月下旬と6上旬に山梨県北杜市白州の林道で見つけた。ちなみにここではオニヒゲナガコバネカミキリやヤマトシロオビトラカミキリやアカイロニセハムシハナカミキリにも出会うことができた。
トサヒメハナカミキリの写真




















