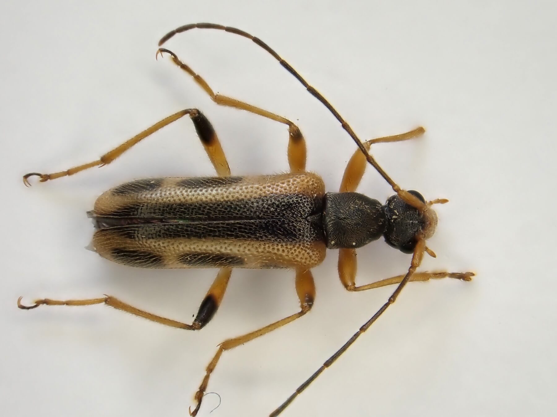
コトヒメハナカミキリ(Pidonia lyra)は、日本に生息する小型のカミキリムシ。ハナカミキリ亜科に属し、いわゆるピドニアの一種。体長は6.5~8.5mm程度。
ミワヒメハナカミキリやトサヒメハナカミキリに似ているが、綺麗に住み分けているから、見分けに苦労することはあまりない。ミワヒメハナは日本海側、トサヒメハナは太平洋側、コトヒメハナは中部地方に局地的に生息する。ちなみに、山梨県にはミワハナではなく、トサヒメハナが分布している
生息地は標高1,200m前後の山地で、タニウツギや他のウツギ類の花にやってくる。本個体も、2025.5.27に山梨県身延町の林道沿いので見つけた。
コトヒメハナカミキリの写真




















