★★★☆☆
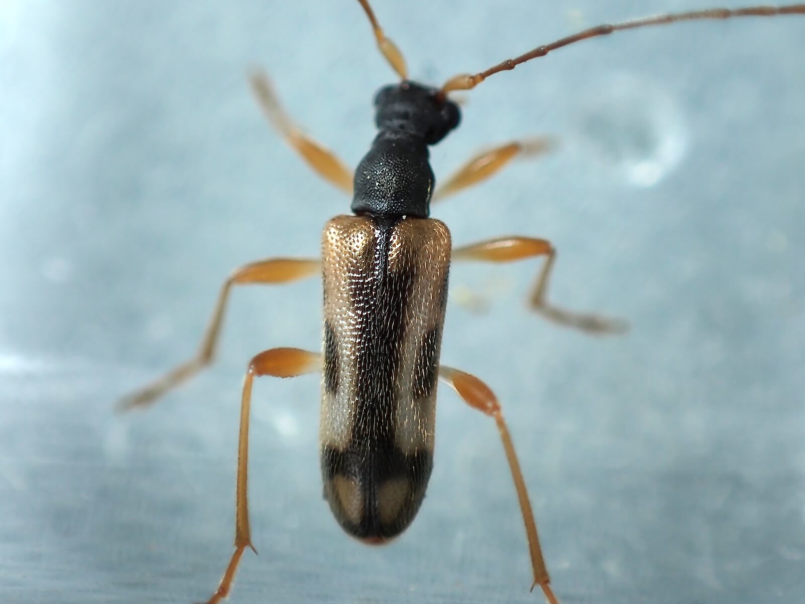
フジヒメハナカミキリは、本州の標高の高い山地に局地的に生息するハナカミキリ亜科のカミキリムシ。
本種は富士山静岡側に分布するとされているが、本個体は富士山の山梨県側で採取した。


フジヒメハナカミキリの生態情報
| 学名 | Pidonia fujisana | ||
| 分類 | カミキリムシ科/ハナカミキリ亜科 | ||
| 大きさ | 体長6mm前後 | ||
| 分布 | 本州のみ(富士山周辺) | ||
| 成虫が見られる時期 | 6〜7月 | ||
| 特徴、生態 | オスとメスで模様が大きく違う。宿主は不明。 富士山静岡側に分布するとされるが、本個体は富士山の山梨県側で採取した。 |
フジヒメハナカミキリの写真




















